- Histoire de la sélection du groseillier nain
- Habitat
- Caractéristiques et description de la variété
- Buisson
- Floraison et fructification
- Propriétés utiles et utilisations culinaires
- Transportabilité
- Résistance à la sécheresse et au gel
- Tous les avantages et les inconvénients de la culture
- Spécificités de la plantation en pleine terre
- Prédécesseurs et voisins
- Sélection d'un site et préparation d'un trou de plantation
- Calendrier et processus technologique de plantation
- Caractéristiques des soins à apporter à un pygmée
- Culture du sol
- Arrosage
- Top dressing
- Garniture
- Prévention des maladies et des ravageurs
- Protection contre le froid hivernal
- Avis des jardiniers sur la variété
Le buisson et les fruits du groseillier Pigmey portent à merveille son nom. Cette plante de grande taille produit de grosses baies sucrées. Sa culture répandue dans les jardins, les potagers et les fermes est due à sa résistance au gel et à la sécheresse.
Histoire de la sélection du groseillier nain
En 1993, le centre de recherche de la branche de l'Oural de l'Académie des sciences de Russie a déposé une demande d'essai variétal du cassis Pigmey. Cinq ans plus tard, une commission d'État a décidé d'enregistrer la nouvelle variété de mi-saison dans le registre d'État des résultats de sélection de la Fédération de Russie.
La variété de cassis Pigmey a été développée par le célèbre sélectionneur et professeur de l'Université agricole de Tcheliabinsk, V. Ilyin, par pollinisation croisée de la variété finlandaise Bredtorp, résistante à l'hiver, et de la variété Seyanets Golubka, résistante à la sécheresse et à maturation précoce.
Habitat
La variété de groseille Pigmey est approuvée pour la culture au Bachkortostan, dans les régions d'Orenbourg, de Tcheliabinsk et de Kourgan, en Sibérie occidentale et orientale, en Extrême-Orient et dans la région Volga-Vyatka.
Caractéristiques et description de la variété
La variété de groseillier Pigmey, à rendement moyen, présente les meilleures caractéristiques de ses parents. Jardiniers et agriculteurs apprécient sa rusticité hivernale, sa résistance à la sécheresse et aux maladies, ainsi que la production de gros fruits à peau fine. Le rendement moyen de 3 à 6 kg par arbuste est compensé par la douceur et l'arôme des baies.

Buisson
Les branches de ce groseillier compact mais vigoureux (jusqu'à 2 m) s'étendent vers le haut. Des reflets roses sont visibles sur les pousses vertes de l'année. Les bourgeons ovales, attachés lâchement aux branches, sont d'une couleur bronze inhabituelle pour cette plante. Le buisson possède un feuillage moyen. Le limbe des feuilles, brillant et concave, est composé de cinq lobes triangulaires aux bords finement dentés.
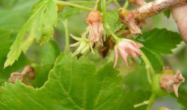
Floraison et fructification
En mai, 7 à 9 fleurs rose sale en forme de cloche s'épanouissent sur chaque inflorescence pendante. Les premiers fruits mûrissent en 3 à 4 semaines, selon le lieu de culture. Dans le sud, la récolte est effectuée en juin, et dans les régions du nord, début juillet. La fructification dure un mois. Le groseillier nain est autofertile et ne nécessite aucun pollinisateur supplémentaire.
Les baies sont étroitement liées à de longues et fines tiges. Leur taille varie, pesant de 2 à 8 g chacune.
Le comité de dégustation a attribué 5 points au fruit pour l'équilibre des acides et des sucres, la densité de la pulpe et l'arôme.
Propriétés utiles et utilisations culinaires
Les bienfaits de la variété de groseille Pigmey sont dus à sa forte concentration en acide ascorbique (150 mg pour 100 g), en sucres naturels, en pectines et en flavonoïdes. Les groseilles apportent à l'organisme des vitamines A, PP et B, ainsi que divers micro- et macronutriments essentiels.
Effets positifs du groseillier nain :
- renforcement des parois des vaisseaux sanguins, normalisation du muscle cardiaque;
- élimination du « mauvais » cholestérol, réduisant ainsi le risque d’accidents vasculaires ;
- normalisation de la pression artérielle;
- stimulation du foie, des reins et des voies urinaires;
- atténuation des symptômes des rhumatismes et de la goutte ;
- accélération de la régénération cellulaire;
- propriétés antioxydantes, prolongation de la jeunesse.
Les groseilles aident les femmes à faire face au syndrome prémenstruel et les hommes à éviter les accidents vasculaires cérébraux et les crises cardiaques. Les enfants se rétablissent plus rapidement des infections virales respiratoires aiguës lorsqu'ils consomment des baies et leur jus.
Manger des groseilles fraîches réduit le taux de sucre dans le sang chez les diabétiques et le poids corporel lorsqu'elles sont incluses dans le régime alimentaire de ceux qui perdent du poids.
Les feuilles pygmées sont utilisées pour infuser du thé et aromatiser les marinades pour les légumes et les champignons.
Les fruits sont ajoutés aux sauces à base de viande et aux pâtisseries. Ils sont consommés frais, utilisés pour la préparation de boissons alcoolisées et non alcoolisées, de confitures, de conserves et congelés.
Transportabilité
Dans des plateaux spéciaux et à une température ne dépassant pas +15°C, les groseilles à peau fine et à pulpe dense peuvent supporter un long transport vers les lieux de transformation et de vente ultérieures.
Résistance à la sécheresse et au gel
Ce pygmée sans prétention s'adapte à des températures allant de -35 °C en hiver à +30 °C en été. Ses bourgeons résistent aux gelées printanières récurrentes.
La résistance à la sécheresse ne dispense pas d'irrigation par temps chaud. La plante survit, mais perd une partie de ses feuilles, et le rendement et la saveur des fruits sont réduits.

Tous les avantages et les inconvénients de la culture
Ayant adopté et amélioré les avantages de ses variétés parentes, le cassis Pigmey démontre les caractéristiques positives suivantes :
- gros fruits, note de dégustation des fruits 5 points ;
- rusticité hivernale, résistance à la sécheresse;
- rendement stable;
- résistance moyenne à la septoriose, à l'anthracnose, résistance élevée à l'oïdium ;
- fructification prolongée jusqu'à un mois ;
- autofertilité, ne nécessitant pas de pollinisateurs.
Parmi les inconvénients, les jardiniers et les agriculteurs notent la sensibilité de la culture aux acariens des bourgeons.
Spécificités de la plantation en pleine terre
Pour obtenir une récolte annuelle complète, il est recommandé de commencer par un travail préliminaire de préparation du sol, de sélection des plants et de plantation appropriée.

Prédécesseurs et voisins
Le groseillier nain est planté après les céréales, les graminées annuelles, les racines et le maïs.
Quartier favorable :
- les oignons et l’ail, qui repoussent les acariens des reins ;
- groseille dorée, chèvrefeuille;
- pommiers, pruniers;
- fraises, herbes.
Les framboisiers freinent la croissance de tous les arbustes à baies, y compris la variété Pigmey. Les groseilliers et les cassis partagent un ravageur commun : la pyrale du framboisier. Ils concurrencent l'argousier pour les ressources. Il est déconseillé de planter des genévriers à proximité, car ils sont porteurs de rouille.
Le pygmée réduit non seulement la fructification en raison de voisins inappropriés, mais affecte également négativement le développement des abricotiers, des poiriers, des cerisiers et des cerisiers doux plantés à proximité.

Sélection d'un site et préparation d'un trou de plantation
Le groseillier nain s'adapte aux conditions de culture difficiles, mais produit de meilleurs fruits dans des conditions favorables. Il s'épanouit dans un emplacement ensoleillé, à l'abri des courants d'air, et dans un sol légèrement acide, meuble et fertile. Cette plante hydrophile craint l'accumulation d'eau de fonte et ne tolère pas les inondations constantes dues à la nappe phréatique dépassant 1,5 mètre.
La zone destinée à la culture est bêchée pour éliminer les mauvaises herbes et les débris végétaux. Un trou de plantation de 0,5 m de profondeur et de largeur est préparé. La terre végétale est mélangée aux ingrédients suivants :
- 2 seaux d’humus de feuilles, compost;
- 1 c. à soupe de superphosphate simple;
- 30 g de sulfate de potassium;
- 1 à 2 cuillères à soupe de cendre de bois.
Selon les pratiques agricoles, un trou pour les groseilles est préparé deux fois plus grand que le système racinaire.
Calendrier et processus technologique de plantation
Les groseilliers nains se plantent au printemps, lorsque le sol est sec, que la température de l'air n'est pas descendue en dessous de 10 °C et que les bourgeons des jeunes plants sont en dormance. À l'automne, des arbustes plus vigoureux sont plantés en octobre si le climat est favorable à l'enracinement avant une forte vague de froid.

Les pousses latérales du plant sont coupées, laissant 2 bourgeons, les racines sont trempées dans une bouillie d'argile, Epin, Kornevin pour une meilleure survie de la culture.
Algorithme de plantation du groseillier nain :
- un petit monticule est réalisé à partir du mélange de terre préparé au fond du trou ;
- ils abaissent le plant et redressent les racines le long des pentes de la colline ;
- en tenant le buisson à un angle de 45°C, versez le substrat restant ;
- compacter le sol;
- faites un fossé, arrosez-le, paillez-le.
À la fin de la plantation, le collet doit être dans le sol à 6–10 cm sous la surface. Cette méthode de plantation assure la croissance la plus rapide possible des racines latérales et la formation des pousses.
Lorsque vous plantez plusieurs groseilliers, maintenez une distance entre eux. 2 à 2,5 m entre eux.
Caractéristiques des soins à apporter à un pygmée
Les soins ultérieurs de la plante consistent en une série de procédures agricoles. Pour un développement et une fructification normaux, la plante nécessite arrosage, taille, fertilisation et protection contre le froid, les ravageurs et les maladies.
Culture du sol
Pour assurer le bon développement des groseilliers nains, maintenez la zone autour du buisson propre. Après chaque arrosage, ameublissez le sol pour que les racines aient accès à l'oxygène, à l'humidité et aux nutriments. Le système racinaire de la plante étant peu profond, ameublissez le sol sur une profondeur maximale de 5 cm.
Les mauvaises herbes sont éliminées au stade des semis, ce qui évite l'épuisement du sol, la propagation et l'infection du buisson par des micro-organismes pathogènes et la propagation des insectes sur le buisson.

Arrosage
Les racines superficielles du groseillier nain nécessitent une irrigation artificielle. Durant le premier mois suivant la plantation, arrosez le groseillier deux fois par semaine avec 1 à 2 seaux d'eau. Par la suite, la fréquence d'arrosage est réduite de moitié. Les plantes matures ont besoin d'humidité pendant la formation des ovaires et la maturation des fruits. Durant cette période, et en l'absence de pluie pendant les chaleurs estivales, arrosez les arbustes chaque semaine avec deux à trois seaux d'eau. Le reste de l'année, un arrosage mensuel avec la même quantité suffit.
Top dressing
Au début de la saison de croissance, le cassis Pigmey est nourri pour la première fois avec du nitroammophoska, en ajoutant 1 cuillère à soupe de matière sèche sous le buisson.
La matière organique riche en azote est utilisée ultérieurement, après la levée du feuillage. Le fumier est mélangé à parts égales avec de l'eau, laissé macérer 4 à 5 jours, puis dilué avec 10 parts d'eau. Une plante mature est arrosée avec 10 litres d'infusion, tandis qu'une jeune plante est arrosée avec 5 litres.
Outre la molène, on utilise également du fumier de poulet. Pour préparer la solution, diluez-le avec de l'eau dans un rapport de 1:12.
Lorsque la culture commence à fleurir, appliquez 20 g de superphosphate ou de sulfate de potassium. Répétez l'application après la récolte. Fertilisez la plante avec 150 g de cendres pendant la formation des ovaires. Doublez la dose de cendres lorsque préparer les groseilles pour l'hiver un mois avant le gel.

Garniture
Chaque printemps, les arbustes hivernés sont inspectés. Pour préserver leur santé, les branches endommagées par le gel, mortes, malades ou infestées de parasites sont retirées.
La deuxième année suivant la plantation, les pousses de l'année en cours (de second ordre) sont taillées, laissant trois pousses intactes. La troisième année, on laisse trois pousses d'un an sur les branches de second ordre, ainsi que cinq pousses de deux ans.
Le développement du groseillier Pigmey est complet la quatrième année, lorsque le plant produit trois pousses de chaque âge. Le nombre total de pousses d'âges différents ne doit pas dépasser 20.
Les branches de plus de 5 ans, poussant vers l'intérieur de la couronne et reposant sur le sol sont sujettes à la taille.
Prévention des maladies et des ravageurs
Malgré la résistance de la variété Pigmey à certaines maladies fongiques, des traitements préventifs sont effectués pour maintenir la santé et prévenir l'infection par des micro-organismes nuisibles.
Avant le débourrement, il est recommandé de vaporiser la culture avec de l'eau chaude (50 °C) à l'aide d'un arrosoir pour éliminer les insectes hivernants. Les remèdes populaires incluent des pulvérisations hebdomadaires d'infusions d'absinthe, de chélidoine, d'ail et d'oignon. Les traitements sont effectués jusqu'à 18 fois par saison.
Au début du printemps, 2 à 3 fois à 10 jours d'intervalle, traitez les groseilliers contre les acariens des bourgeons avec Apollo, Actellik et Kinmiks.
Pour lutter contre les spores fongiques, les buissons sont pulvérisés avec du sulfate de cuivre avant la saison de croissance et avec de la bouillie bordelaise après la récolte.
La prévention des maladies et des attaques de parasites sur les groseilles comprend l'entretien du sol autour du buisson (ameublissement, désherbage) et la taille annuelle.
Protection contre le froid hivernal
Le pygmée, résistant au gel, n'a pas besoin d'isolation. Ce qui l'aide à survivre à l'hiver :
- ameublir le sol;
- irrigation par charge d'humidité;
- appliquer des engrais un mois avant une forte vague de froid ;
- paillage des buissons avec de la tourbe et de l'humus.
Les mesures sont obligatoires pour les jeunes arbustes.
Avis des jardiniers sur la variété
Les jardiniers parlent positivement, parfois avec enthousiasme, de la variété Pigmey. Leur seul inconvénient est la présence d'acariens.
Kirill Ivanovitch, 67 ans, Voronej
La variété de groseillier Pigmey est reconnaissable entre toutes. Au printemps, ses branches prennent une teinte bronze, la couleur des bourgeons avant leur éclosion. Je cultive cette variété aux gros fruits parfumés depuis sept ans et je compte agrandir mes plantations la saison prochaine.
Olga Gennadievna, 70 ans, Nakhodka
Je jardine depuis 30 ans et je suis expert en cultures fruitières. Parmi les variétés de groseilliers, j'apprécie particulièrement le Pigmeya pour sa résistance aux champignons et au gel. Chaque année, je récolte régulièrement 5 kg de grosses baies sucrées par arbuste.
Nina Ignatievna, 52 ans, Sverdlovsk
Dans les régions méridionales, on cultive peut-être des groseilles aux fruits plus sucrés et plus gros, mais pour nous, Sibériens, le pygmée est la meilleure variété, adaptée aux hivers rigoureux. Trois arbustes de cette variété offrent à la famille une confiture à l'arôme indescriptible et des baies congelées pour tout l'hiver.











